04.09.2019
НПО «Энергомаш» провело три огневых испытания в августе
НПО «Энергомаш» провело три огневых испытания в августе. Об этом сообщила в среду пресс-служба...
ДалееНПО «Энергомаш» провело три огневых испытания в августе. Об этом сообщила в среду пресс-служба...
ДалееКомпания «Главкосмос» («дочка» Роскосмоса) подписала контракт с немецкой фирмой Exolaunch на запуск малых...
ДалееНачалась подготовка к пуску последней ракеты-носителя «Союз-ФГ». Старт с космодрома Байконур планируется на...
ДалееСпутники орбитальной группировки системы «Сфера» смогут «общаться» друг с другом и с Землей посредством...
ДалееРоссийский «блуждающий» спутник на геостационарной орбите приблизился к аппарату американского оператора...
ДалееДвижущийся по селеноцентрической орбите индийский посадочный модуль Vikram вечером 3 сентября произвел еще один...
ДалееМинистр информационных технологий Ирана Джавад Азари Джахроми в ответ на новые санкции США против иранских...
ДалееОператор спутниковой связи Eutelsat обнародовал на своем сайте заявление, согласно которому он выходит из...
ДалееСША ввели санкции против космических ведомств Ирана, сообщило американское министерство финансов. Под санкции...
ДалееПравительством РФ одобрен регламент создания и ведения федерального фонда данных дистанционного зондирования...
ДалееРоскосмос намерен заключить контракт на разработку новых высокотемпературных композиционных материалов для...
ДалееПоисково-спасательная группа Центрального военного округа приступила к поисково-спасательному обеспечению...
ДалееРобот «Федор», находящийся на орбите, перенесен во вторник в корабль «Союз МС-14», на котором он вернется...
Далее«Роскосмос» планирует провести первый старт ракеты «Ангара» с Восточного в 2023 году, после окончания...
ДалееДвижущийся по селеноцентрической орбите индийский посадочный модуль Vikram в 03:20 UTC (06:20 ДМВ) произвел 4-секундное...
ДалееНа космодроме Восточный полном ходом идет строительство его второй очереди. Специалисты...
ДалееЖенщинам-кандидатам в космонавты для того, чтобы подготовиться и полететь в космос, придется на время...
ДалееИзраильский эксперт Яков Кедми заявил, что США проиграли России в гонке вооружений по стратегическим ракетам....
ДалееКомпания The Gateway Foundation (США) разрабатывает первый в мире космический отель. Космическая станция, названная в честь...
ДалееСозданный Россией с международным участием ультрафиолетовый телескоп “УФ атмосфера” для исследования...
ДалееКанадское космическое агентство выдало в августе 2019 г. компаниям Honeywell и MDA контракты стоимостью по 1.2 млн...
ДалееРакетно-космическая корпорация (РКК) «Энергия» обнародовала характеристики околоземной и окололунной...
ДалееМГТУ им. Н. Э. Баумана совместно с Физическим институтом им. П. Н. Лебедева разработали наноспутники проекта...
ДалееСекретность ряда российских ГОСТов вносит сложности при совместной работе российских и европейских компаний,...
ДалееНа космодроме Восточный началось годовое техническое обслуживание технологического оборудования. Основная цель...
ДалееЕвропейский спутник наблюдения Земли Aeolus (43600 / 2018-066А) выполнил маневр, чтобы не столкнуться с одним из космических...
ДалееРоссийские космонавты Алексей Овчинин и Александр Скворцов в рамках эксперимента на борту МКС задали более 30...
ДалееВторой стартовый комплекс для запуска ракет-носителей «Союз-2» начнет функционировать на космодроме Плесецк...
ДалееВзрыв на космодроме в Иране произошел не во время попытки запустить спутник, а на тестовой площадке, передает РИА...
ДалееПосадочный модуль «Викрам» в 07:45 UTC (10:45 ДМВ) успешно отделился от индийской автоматической станции...
ДалееОфис Генерального инспектора NASA просит Конгресс США пересмотреть принятое ранее решение о запуске межпланетной...
ДалееОколо 1,5 тыс. куб. м бетона будет залито в понедельник на космодроме Восточный в рамках строительства второй...
ДалееСоздание сверхтяжелой ракеты «Енисей» для полетов на Луну оценивается в сумму от 1 до 1,7 триллиона рублей,...
ДалееНПО Энергомаш начинает производство двигателей РД-191 для ракет-носителей “Ангара”, которые будут стартовать с...
ДалееГлава Роскосмоса Дмитрий Рогозин отреагировал в твиттере на недовольство правительства сроками строительства...
ДалееВоенно-строительная публично-правовая компания, которая создается Минобороны РФ, может стать одним из...
ДалееРоссийская космическая обсерватория «Спектр-РГ», запущенная в июле этого года для изучения Вселенной в...
ДалееРоссийская ракета «Ангара» не соответствует требованиям Минобороны РФ как основного заказчика этого...
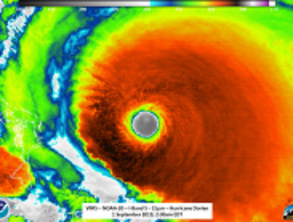
ДалееВо Флориде ждут приближения тропического урагана “Дориан”. И хотя все сооружения космодрома на мысе Канаверал...
ДалееИран продолжает отрицать аварию носителя 29 августа. Хотя устами министра информационно-коммуникационных...
ДалееКоллекция кукол Барби пополнилась моделями, прототипами которых стали астронавт Салли Райд и активистка Роза...
ДалееВ Узбекистане создано Агентство космических исследований и технологий «Узбеккосмос», сообщает портал...
ДалееНПО “Энергомаш” начал изготовление самых мощных в мире жидкостных ракетных двигателей РД-171МВ. Их будут...
ДалееИндийский зонд «Чандраян-2» успешно выполнил заключительный маневр по формированию «посадочной» орбиты....
ДалееРобот «Федор» (Skybot F-850) поздравил школьников с Днем знаний, который отмечают 1 сентября. Он напомнил, что знания...
ДалееКитай выведет в сентябре на орбиту микроспутник под кодовым названием «Цзинши-1» (BNU-1) для наблюдений за...
ДалееКитайская корпорация аэрокосмической науки и промышленности (CASIC) планирует до конца текущего года вывести на...
ДалееОкончательные испытания десантного и перелетного модулей миссии «ЭкзоМарс-2020» начнутся в марте 2020 года,...
Далее30 августа 2019 г. в 23:41:25.324 UTC (31 августа в 02:41:25 ДМВ) с площадки СК-43/95 космодрома Цзюцюань осуществлен пуск (код...
ДалееВ штате Техас на испытательном полигоне компании SpaceX завершены огневые испытания двигательной установки ступени...
Далее
04.09.2019
04.09.2019
04.09.2019
04.09.2019
04.09.2019
03.09.2019
03.09.2019
03.09.2019
03.09.2019
03.09.2019
03.09.2019
03.09.2019
03.09.2019
03.09.2019
02.09.2019
02.09.2019
02.09.2019
02.09.2019
02.09.2019
02.09.2019
02.09.2019
01.09.2019
01.09.2019
01.09.2019
01.09.2019
01.09.2019
01.09.2019
01.09.2019
30.08.2019